Home What's New | Challenge for Change  | Links  | Archive | About  | Site Map

KEW COTTAGES COALITION

nav-bar


You can support kew.org.au by making a small donation
or make a statement with  4Kew Art - Click here to order -

  Don't Screw
                KewArchive 2011  at WWW.KEW.ORG.AU
Kew Cottages Coalition Reg # A0044698H

The Big Con ?

Yarra River Green
                                            Wedge
The Yarra River Green Wedge established in 1984. Kew, Melbourne Australia.

This prize 27 hectare site just kilometres from the city is

being developed on a model than concerns
the Committee greatly....






"... The final financial return to the State will not be known until the end of the project...."

Department of Human  Services
Melbourne
March 29th 2010


  "...  If a con game is successful, the mark does not realize he has been "taken" (cheated), at least not until the con men are long gone..."
 
(Read More)

Audio Listen to "The Sting.."

*
++++++++++++++
++++++++++++++
**
Follow kewcottages on Twitter


 
This


August 2011
Calendar 2011

Kew Cottages History
(
Click to zoom in)by 4Kew 


Wednesday 10th August 2011Fact and  Opinion..Alice at the Tea Party

Heritage Watchdog to Investigate Kew Cottages Land Clearance

Brian Walsh, President of the Kew Cottages Coalition said today that the State Government watchdog, Heritage Victoria, had agreed to investigate what appeared to be unlawful clearance of the Public Land at Kew Cottages.

Mr. Walsh said that, "Aerial photographs provided online by nearmap.com showed that Tree Protection Fencing, trees, and other vegetation on the State Heritage listed Kew Cottages land appeared to have been trashed by bulldozers at some time between 6 April and 28 June this year.."

Mr. Walsh said that the timing of the Public Land clearance was significant, because permit applications to subdivide the Land along the Hutchinson Drive border of the Government owned site were lodged with Heritage Victoria in April, but the applications were not publicly advertised until July, and the permit applications have still not been approved.

"Trashing Tree Protection Fences and native vegetation like this on a Government owned State Heritage listed site makes the Baillieu Government look like cowboys," Mr. Walsh said.

"You do not put up Tree Protection Fences just so that someone can come along and knock them down - this not Legoland !" Mr. Walsh said.

"They have completely changed the heritage listed landscape," he said. (See aerial photographs below)


Kew Cottages The
                                                  Crescent North West
                                                  Border

Fig. 1. Copy of Nearmap.com Aerial photographs showing Vegetation and  Tree Protection Fences before (April 2011) and after clearance (June 2011)

Links:

Nearmap.com  at  6 April   and  28 June 2011
Tree Protection Fencing:  http://www.nearmap.com/?ll=-37.794199,145.02661&z=20&t=k&nmd=20110406

Tuesday 2nd August 2011
Progress Leader
Kew developer fined
Doubts raised over clearing work at Kew Cottages

LOCAL NEWS
BY LAURA ARMITAGE


KEW Cottages developer Walker Corporation has been fined $200,000 for unlawfully clearing native vegetation.

The multi-million-dollar development company was fined by the New South Wales Land and Environment Court for clearing 23ha of native plant species at a property southwest of Sydney in 2006-07.

The NSW Environment and Heritage Office said a number of threatened animal species including the koala, spotted-tailed quoll and glossy black cockatoo could have used the site as a home.

Kew Cottages Coalition president Brian Walsh said the fine raised “serious concerns” about how well the Walker Corporation’s land clearance had been regulated in Kew.

“We obviously still have a major problem in sorting out the legal and regulatory questions,” Mr Walsh said.

He demanded the State Government impose a moratorium on development at Kew Cottages until the feasibility of an alternative plan had been properly investigated.

Last year a report by the Victorian Ombudsman revealed the joint venture between Walker Corporation and the Victorian Government had been handled badly.

The Walker Corporation did not respond to the Leader’s inquiries before deadline.


Read More >>



July 2011

Calendar
                                        2011

The Future of Kew Cottages ?
A Fair Go for Disabled Victorians ?
OR
More Developer Donations ?
(
Click to zoom in)by 4Kew 

Saturday 30th  July 2011

Déjà Vu at Kew...

The Age



Defender of the Hamer vision Alan Hood implores Ted Baillieu not to develop the green wedges. Photo: Angela Wylie

Royce Millar and Jason Dowling write:

MELBOURNE'S green wedges face their biggest challenge in almost 35 years, with the Baillieu government opening the way for potential development, a move that would reject the vision of a Liberal statesman.
Planning Minister Matthew Guy yesterday confirmed he is set to write to councils across the city, inviting them to submit wish lists of changes in their green wedge areas.






Friday 29th July 2011
Fact and  Opinion..Alice at the Tea Party

The Baillieu Government - Ditherers or Deceivers ?


Before the November 2010 State Election Ted Baillieu promised his fellow Victorians that if they elected a Baillieu Government then he would establish an Anti-Corruption Commission by July 2011.


In February 2011 the new Victorian Minister for Crime Prevention, the Member for Kew, Mr. Andrew Macintosh assured a Kew Public Meeting that
the controversial Kew Cottages development, "will be one of the first matters investigated by Victoria's new anti-corruption commission".

It hasn't happened

Mr. Macintosh went on to assure residents that the February Public Meeting's resolution calling for "an immediate moratorium on the Government's Kew Cottages Public Land sales"
is certainly one of the options we are looking at at this time..."

That was the rhetoric.

This is the reality...

The Crescent
                                looking south July 2011

One morning in June Kew Gardens residents on the northern border of Kew Cottages were woken at 5am by the shattering sound of Victorian Government contractors' trucks and bulldozers arriving without warning in the darkness at the gates to Kew Cottages.

Local residents subsequently made complaints to Walker Corporation, Council, and the EPA about the environmental noise and disruption
. However, details of the Government'searth moving and vegetation clearance that followed are only now being put together.

"I knew later, when I came home, that something very strange had happened, because the wind was coming down the hillside," one resident told us.

"The wind had never come
into our garden from that direction before. But now all the trees on The Crescent had gone."

"It's strange though, because apparently no one heard any chain saws... only the roar of the bulldozers."

In July 2011 it is clear to local residents that the actions of  the Baillieu Government's bulldozers speak louder than words at Kew Cottages ...




Monday 25th July 2011
Fact and  Opinion..Alice at the Tea Party

Kew Cottages Developer fined in NSW

Main Drive Kew Developer, Walker Corporation, has been fined a record $200,000 by the NSW Land and Environment Court for unlawfuly clearing 23 hectares of native vegetation at a property near Wilton south -west of Sydney in 2006 and 2007. (Read the Sydney Morning Herald Story here)

Brian Walsh, President, Kew Cottages Coalition, said today that the Wilton case, and the record fine imposed on Walker Corporation in NSW raised serious concerns both about Walker's
land clearance activities in general, and how well those activities have been regulated in other States.

Mr. Walsh said, "We obviously still have a major problem here in Victoria in sorting out the legal and regulatory questions because the Baillieu Government eight months after the State Election is still in its controversial Public-Private Partnership with Walker Corporation. Thus the Baillieu Government still appears to the Public to have a very serious conflict of interest."


Mr. Walsh said, "We reiterated our call for the
Baillieu Government to impose a moratorium on development at Kew Cottages until the feasibility of our alternative plan - including the option of a buyout - has been properly investigated. However, the Wilton case suggests that time has now run out for the Government. "



Saturday 23rd  July 2011


Sydney Morning Herald

Developer fined a record $200,000 for clearing vegetation


Matthew Moore writes



ONE of the country's biggest property developers has been fined $200,000 by the NSW Land and Environment Court for unlawfully clearing 23 hectares of native vegetation.

Walker Corporation, which has more than $4 billion of developments under way across Australia, was given a record fine for a company under the Native Vegetation Act for clearing the land at a property near Wilton, south-west of Sydney, in 2006 and 2007...




Read more >>



Friday 1st  July 2011

Baillieu Government Backflip on Election Promise
to refer Kew Cottages to Independent Anti-Corruption Commission by July 2011



Video: Baillieu Government
                                  Backflip on Election promise








June 2011

Calendar 2011
Willsmere Towers and Kew Cottages from Spring Street (Click to zoom in)by 4Kew


2pm SUNDAY 26 JUNE 2011

Kew Court House

KEW COURT HOUSE OFFICIAL LAUNCH

Mayor of Boroondara, Cr Nicholas
                            TragasAndrew McIntosh MLA


Mayor of Boroondara, Cr Nicholas Tragas, and Andrew McIntosh,  MLA, 
Minister responsible for the establishment of an Anti-Corruption Commission,  Member for Kew.

followed by

 Kew Cottages
and the
Last Residents

The Last Residents
 
The Last Residents is a series of photographs taken over three years at Kew Cottages, 2005-2007. The series was exhibited for the residents and their families in one of the heritage-listed buildings on the Kew Cottages site in 2008. In 2009 the exhibition was shown in Perth. This week they are being shown at the Kew Court House - it is their first public viewing in Melbourne.

  Meet Grace McKenzie
The Photographer
2.30pm Sunday 26 June 2011


Kew Court House
188 High Street
KEW


Melways Map45 D6


Ombudsman VictoriaGeorge Brouwer. Victorian
                                  Ombudsman

"I recommend that the Department of Human Services report on the financial return to the State Government
from the Kew Residential Services project in its Annual Report.
"

Ombudsman Victoria
June 2010
 
Well that was a year ago this month.
However, don't be surprised if that report from DHS has not seen the light of day yet.
Spring Street moves slowly  - even when a problem confronts the politicians each time that they look out of their window (see above :-)



UPDATE



KEW Cottages Site Alternative Plan


SUMMARY – JUNE 2011

1. Moratorium on further development and land sales pending:

• Review regarding suitability for Victorian Disability Respite Care Centre
• Feasibility of jointly funded (public-private) shared sporting facilities
• Assessment of the remaining environmental features of the site
• Investigate the State risks (Sovereign risk) to ceasing the current Walkerscontract
• Investigate the cost of buying out the Walkers contract and the public/privateoptions needed to do this.

2. Assess the feasibility of a Victorian Disability Respite Care Centre

• Number of potential options - including a model similar to the "HamerCentre”

Kew Cottages Coalition




May 2011

Calendar 2011
Oak Walk, Kew Cottages
by 4Kew
Beware Off-the-Plan Mushrooms (A. muscaria)



Main Drive Kew Buyers Beware!

Are You Buying Off-the-Plan ?

Tips for the unwary ...

Main Drive Buyers Beware !  Don't forget Mr. 3%

Are you still thinking of investing  "off-the-plan" in  Main Drive Kew Real Estate ?

Then check the contract BEFORE you sign, to see if the vendor reserves the right to change the size of the property.

If the package will cost you around $3,000/sq metre (say), then a change in subdivision boundaries resulting in  a 3% reduction in the size of a 500 m2 lot might potentially devalue the property by around $45,000.  However,  first you will need to get your own surveyor to check the boundaries.


If that possibility worries you, then check Special Condition 5.4 in the Victorian Government's Main Drive Kew Lot Sale Contract, and if it still says:

5.4 For the purposes of special condition 5.3, the Purchaser agrees that an alteration to the
Plan of Subdivision which results in a change to the area of the Property of 3% or less
does not materially and detrimentally affect the Property.

  Get independent legal advice when buying off-the-plan.






Saturday 21st  May 2011



Misrepresentation: developers pay the price

Chris Vedelago

Developers and Real Estate agents
                                can now be liable for changing
                                conditions of off-the-plan purchases.
Developers and Real Estate agents can now be liable for changing conditions of off-the-plan purchases.

A promised view that did not materialise dropped a developer into hot water - and court.

Buyers, developers and promoters of off-the-plan projects should take note of a recent Queensland court case in which two buyers received compensation from a developer who was found to have misrepresented the views offered from the apartments.





Monday 16th May 2011
Brian Walsh, Andrea
                                      Coote MLC , Georgie Crozier MLC
Parliamentary Secretary for Community Services, Andrea Coote (centre), with fellow MLC, Georgie Crozier and Kew Cottages Coalition President Brian Walsh


Baillieu Government says its finally getting its act together

Parliamentary Secretary for Community Services, Andrea Coote, and fellow MLC, Georgie Crozier visit Kew Cottages to see for themselves just how much Public Land is still left adjoining Yarra Bend Park and Willsmere.

Andrea Coote, representing Minister for Community Services, Mary Wooldridge, says that the Baillieu Government's delay in implementing its election promises has been due to the complexity of the project, and the number of Government departments involved.






Tuesday 3rd May 2011
Progress Leader
Scoop on Yarra poop



 by Holly McKay

Riverkeeper Ian Penrose

Riverkeeper Ian Penrose on the banks of the Yarra in Kew. PICTURE: Josie Hayden

DANGEROUSLY high levels of E coli have been found in the Yarra River in Kew after raw sewage leaked because of heavy rainfall.

Riverkeeper Ian Penrose, pictured, said, for the third time this year, the E coli level had risen to a level that was unsafe to drink, unsafe for swimmers, rowers and anyone using the river.

Mr Penrose said the most recent sewage dump of seven megalitres was on April 12, where more than half was spilt into the river from a pipe in Kew. E coli levels were measured on April 6 at 110 (organisms per 100ml) and after the rainfall on April 13 the results were 11,000.

Mr Penrose said because of the heavy rain, sewage was “heavily diluted” and mixed with other pollution including run-off from roads but that the levels were “hazardous”. “This is a public health issue,” Mr Penrose said. “There is no noticeable affect on the ecology of the environment but the water is hazardous to us.”

Mr Penrose said the State Government’s $650 million funding for new sewerage lines through the city and north west of Melbourne was good but that Kew needed to be a higher priority.

Canterbury environmentalist and Lighter Footprints convener Carolyn Ingvarson blamed overdevelopment and non-permeable surfaces that don’t allow water to seep into the ground.

Ms Ingvarson said the sewage leaks in Kew “had to be fixed” and that the Yarra was in “diabolical trouble”.

Read More >>

Main Drive Buyers Beware !

Online Comments...

Is that near where the Main Drive development discharges into the Yarra ?

 Albert - May 5, 2011,  12:15PM



April 2011

Calendar April 2011
Main Drive Sign, Kew Cottages
by 4Kew
The Brumby Government called this their 'Flagship" Disability Project





Buyer beware: off-the-plan warning as projects stall

Saturday April 9, 2011
Jason Dowling and Marika Dobbin

Off-the-plan housing contracts in Victoria will soon come with a ''warning notice'' on the front page as concerns escalate about complicated contracts favouring developers and a large number of housing projects that may never be delivered.

A senior Melbourne developer has warned that not all projects currently being sold off-the-plan in Melbourne would be built, while new research from property agency Oliver Hume shows construction is yet to begin on a third of high-rise apartment projects that have been marketed in Melbourne for more than six months.

One disillusioned first home buyer told The Saturday Age he recently had his bond refunded after waiting 17 months for work to begin on his $285,000 one-bedroom apartment in inner Melbourne.
Read More >>


Main Drive Buyers Beware !

Online Comments...

What does the govt really expect when you've distorted the market by offering 'generous' stamp duty concessions to entice people into risky purchases.
What does the concession cost the Victorian government in lost revenue? (and publish it in the upcoming state budget) why do we allow it to continue when we know the risks to consumers and that developers are the largest beneficiary?
Baillieu/Wells and co. we deserve better.

SonsOf | WhittenOval - April 11, 2011, 9:05AM



Buying off the plan should be renamed to:
Investor needed to fund builders speculative development.
Pitch: Upside: one property, Downside: total loss.
Just look at the Westpoint debacle.

With straight talking sales pitches the prices for these developments would reflect the high risk to the investor. The builder is actually using the investor as a Patsy to prove to real lenders (Commercial lending from Banks) the builder has enough money (your deposit) to borrow the rest.

If the builder holds off on construction and sees a price increase in the market they can shaft the original investor and find a new one to pay a higher price. If the market falls they have the original investor to wear the loss and they can keep building.

Beware. The longer the contract the more you should worry! Any glib sales pitch should have it's "suggestion" "innuendo" "offer" hard written into the contract.

Walking from a bad deal is something to be commended.

Straight Talk | Melbourne - April 11, 2011, 9:22AM


Posted by Paul Osborne on April 9, 2009

Off the plan: The pitfalls


You have to be careful when buying 'Off the Plan' property.

I'm still seeing many people talk about the 'no stamp duty' benefits. Plenty of things counteract that, so it's important to do your research.
This is a photo of one that has gone wrong, in a big way.
Read More >>


Saturday 9th April 2011



That's three strikes for developer

Jimmy Thomson
Moved off the Plan

 
Imagine if you bought a car based on a test drive of the same model, and maybe a picture in a glossy brochure, but when it turned up, it had two doors instead of four.

Even worse, you discovered that the sales contract allowed the garage owners to change whatever they liked.

You'd be nuts to accept this and, even if you did, Fair Trading would be all over it like fake tan at a cheerleader convention.

But when it comes to new apartments, some developers have a real problem with the concept of giving people what they paid for.

A recent correspondent to the Flat Chat website said his block's developer had not only changed common property after apartments were sold off the plan, he had included a clause in sales contracts saying new owners must agree to approve this change.

Now, I'm no lawyer but I can think of three ways that this is probably illegal, not to mention morally corrupt and wrong...






March 2011

Calendar March
                                          2011
Boroodara's Battle of the Bulge..
Act1   Stage 1by 4Kew

The Brumby Government built 75 houses here.
On land that it already owned...
Sold 55 of them at an average sale price of $1.4 million each
And still managed to loose $17 million dollars !
Go figure >>



Sunday 20th March  2011



So, what's the planning boss planning for Melbourne?

Farrah Tomazin

Matthew Guy says his biggest challenge will be housing affordability.

MATTHEW Guy has a tough task ahead. In opposition, the upper house MP repeatedly declared state planning a mess.

The Brumby government, he said, had brought ''more pain and division to the community through the planning system than any other government in Victorian history''. Councils were being bypassed, transparency was lacking, and the Windsor Hotel scandal eroded the public's faith in the planning system.

But now that Mr Guy is the Minister for Planning, what's his plan to restore the system's credibility?

''In my view, the key thing about the planning system that was missing over the past four years was certainty and confidence,'' he says.

 ''I'm committed to being quite active, quite interventionist, quite open, and a minister who wants to see those issues solved.''

Read More >>





February 2011

Calendar February 2011
An Inconvenient Truth ?

I
n  1990 the Labor Government's blueprint forThe Middle Yarra River(above)included

Main Drive Kew


not as a housing estate, but as part of Melboure's Yarra Green Wedge.

So what went wrong ?

What happened to Melbourne's Yarra Green Wedge ?

Learn more >>





Saturday 19th February 2011



Baillieu forced to cancel $1500-a-head fund-raiser
David Rood


PREMIER Ted Baillieu has been forced to cancel a $1500-a-head Liberal Party fund-raiser featuring two senior ministers, after his government became embroiled in a cash-for-access controversy.

Despite Planning Minister Matthew Guy - one of the frontbenchers who was to headline the event - publicly defending the fund-raiser yesterday morning, the Premier pulled the plug on the function while the government develops a new code of conduct...






Somersoft property Investors Forum


Friday 11
th February  2011



Potential buyers ponder Main Drive Kew

Quote:
Originally Posted by alanrrll View Post
What you guys think about the residential project in Kew by Walker Corporation?
http://www.maindrivekew.com.au
I think it's a terrible investment actually. I'd much prefer to buy an old brick veneer, knock down and spend 600k on a nice build and pocket the 100+ odd k difference

The only person making a quid from this is the developer



Read More >>




Friday 11th February  2011




Welcome to hotel deception
An artist's impression of the
                            development.

Ian Munro writes

PETA Duke, press secretary to then planning minister Justin Madden, took the fall when a strategy to reject the Windsor Hotel redevelopment accidentally went public. But credit where it's due, the ideas that sank her were not hers alone.

Also in the frame stands Justin Jarvis, the then minister's chief of staff by title and, according to a Victorian Ombudsman's report released yesterday, a motormouth by nature...


.... Planning, the issue that dogged the Kennett Liberal government and that Labor had tried to turn to its advantage, was about to turn comprehensively sour. The government would continue to be haunted by the charge that it was prepared to undertake a sham public consultation for the purpose of a pre-ordained outcome....



Read more >>





Friday 4th February 2011Fact and  Opinion..Alice at the Tea Party

Welcome back to the 'Mad Hatter's Tea Party'...

Where everything that is, isn't, everything that isn't, may be, and everything you think you know is absolute nonsense.

There has been another sudden flurry of activity.. the Government and character actors may have changed, but the Heritage Club show must go on...

The Dormouse was rumoured to be on holiday in Queensland but is back to pen more heritage permits and permissions on paper napkins to show Alice.

This time it looks like it is all about boosting Box Office ticket sales...

Walker Corporation apparently want to move their Sales Office from one end of Main Drive Kew to the other.

Heritage VictoriaThe Heritage
                                                  Dormouse in a TeapotThe Heritage Club Cookbook from Kew Cottages to the Windsor Hotel 

The Alice in Wonderland Expanding Heritage Menu.
... "Sometimes more is less .."

Whoops, a new Main Drive Kew Sales Office Permit has suddenly beenissuedwithout even being advertised.
That can only mean that Jim Gard'ner,  Executive Director, Heritage Victoria has convinced himself that the Heritage Act does not require him to consult the public on this particular permit application.

However, the Executive Director's conviction appears decidedly odd to Alice because:

Section 68.1 of the Heritage Act states:

68 Public display of applications
(1) On receiving an application under section 67, the
Executive Director
(a) must cause notice of the application to be
published in a newspaper circulating
generally in the area in which the registered
place or registered object is situated, if the
Executive Director considers that the
proposed works or activities may
detrimentally affect that place or object;

If Mr. Gard'ner is so sure that there is no possibility whatsoever that the proposed works could detrimentally affect Main Drive Kew why has he had to impose a string of conditions in his Heritage Permit to address the latter possibility ?

Why too has he apparently even gone so far as to ignore a written request from Boroondara Council that the Main Drive Kew Sales Office permit application be advertised to Wills Street residents in January ?

Why indeed ?

And what will new home buyers in Main Drive Kew make of all the fine print in their sale contracts that now limits their right of appeal on Permit issues ?


Thursday 3rd February 2011

Herald Sun


Commission to probe Kew Cottages

Stephen McMahon

An
                                            artist's impression of
                                            development at the Kew
                                            Cottages site. Herald Sun
An artist's impression of development at the Kew Cottages site. Herald Sun

THE controversial Kew Cottages development will be one of the first matters investigated by Victoria's new anti-corruption commission.

Minister for Crime Prevention Andrew McIntosh, who is responsible for establishing the commission, has promised to make sure all the probity issues surrounding the project will be investigated when the office opens in July...



Tuesday 1st February 2011
Guided Democracy Again ?

AEC Political Donations

The Australian Electoral Commission  releases details of  a further$100,000 Political Donation made to the Liberal Party of Australia byWalker Corporation.

According to the AEC Annual Returns Walker Corporation Political Donations to the Liberal Party between June 2007 and June 2010 now totaled over $400,000.


June 2010 was a busy month...
  • Walker's  latest declared donation to the Liberal Party was made on9 June 2010
  • During thefollowing week Lang Walker finally settled out of court with Kevin Hunt.
  • The week after that, on 24 June 2010, the Victorian Ombudsman, Mr. Geoge Brower, handed down his report to Parliament on the Kew Cottages and St Kilda Triangle Developments, including some interesting revelations about the "Walker/Kevin Hunt consortium".
Learn more...

Kew Public Meeting

Tuesday 1st February 2011

Calls on the Baillieu Government to impose an immediate moratorium on the Government's Kew Cottages Public Land sales...


Baillieu Government spokesman, Andrew McIntosh (Minister Responsible for establishing an Anti-corruption Commission), says,

"That's certainly one of the options we are looking at at this time..."


Summary of
KCC
Presentation
(More..)

Motions carried




Tuesday 1st February 2011

===

KEW COTTAGES COALITION INC. PRESENTS
Mr. Baillieu Tours his
                                      Constituency

Kew Cottages
and the
Baillieu Government

The Premier, his Ministers, and all Local Members of State Parliament have been invited  to:

A MIDSUMMER NIGHT's
PUBLIC MEETING

Ted Baiilieu, Premier of
                                    Victoria

Ted Baillieu, Premier of Victoria


***

Opposition Local MLC's (Southern Metro)

John Lenders MLC Southern RegionSue Pennicuik, Greens MLC Southern
                                Metro
John Lenders (ALP)
Sue Pennicuik (Greens)


  7pm Tuesday 1st February 2011

Phyllis Hore Room
Kew Civic Centre
Cnr Cotham Road and Civic Drive
KEW


Melways  Map 45 D6


The next instalment in one of Melbourne's most contentious Major Projects.

The Topic for discussion:


The Baillieu Government's  Plan for the Remaining 15 Hectares of Public Land surrounding Kew Cottages


***
Follow kewcottages on Twitter

ALL WELCOME !  



2011
2011 Calendar

The story so far...

 In the beginning, way back in 1887,  Kew Cottages was Australia's  first 'Government Insurance Policy' for intellectually disabled kids and their families.

It offered asylum for the children on a piece of Public Land outside of the walls Willmere that was permanently reserved by an Act of Parliament for the intellectually disabled.

Today, Kew Cottages is like a "canary down a coal mine".  Over the past ten years nearly half of the the 27 hectares of Public Land surrounding the Cottages in 2001 has been sold off by theBracks andBrumby Governments in a most disturbing manner. The 'State Government Insurance Policy' for intellectually disabled kids and their families looks battered and bruised.

In 2008 concerns were raised by a Parliamentary Inquiry that the Government sell-off of the Kew Public Land was shrouded in secrecy and not in the public interest. The Inquiry also expressed concern that two property developers involved with the Kew Public Land deal, Walker Corporation and Mirvac,  had both made large political donations to the Victorian ALP days before the 2006 State Election.

At the end of 2008 Parliament instructed the Victorian Ombudsman to
investigate the probity of the Victorian Government's Kew Cottage's contract, including the role oflobbyist Graham Richardson in the deal.

At the time of the November 2010 State Election t
here was a strong smell of corruption in the air. The Brumby Government was voted out of office, and the incoming Baillieu Government made an election promise to refer numerous concerns about the redevelopment of Kew Cottages to the Independent Broad-based Anti-corruption Commission once it is established in July 2011.

The Baillieu Government also promised that, subject to any contractual obligations to the contraryall of the remaining Kew Cottages Public Land will be listed on a new Victorian Register of Significant Public Land.



**
Follow kewcottages on Twitter



From The Archive... 2010





Now the details...
December2010

Calendar December 2010
 RedBubble over Green Wedgeby 4Kew
===
Victoria Votes 2010
Kew Cottages Coalition
Alternative 5-Point Plan
for the development of the remaining Kew Cottages Public land.

1. Implement all of the Public Land Development Inquiry Recommendations on Kew Cottages
2. Implement all of the Ombudsman Kew Cottages Inquiry Recommendations
3. Register all the remaining Kew Cottages Public Land on the proposed Baillieu Government's new Registerof Significant Public Land
4. Boost State Heritage Controls to address the significant regulatory failings identified by the Ombudsman'sKew Cottages Inquiry
5. Refocus Government attention on upgrading services on the State Heritage site for the intellectually
disabled and the wider community


November2010
   Victorian State Election Date 27-Nov'10
State Election Candidates
Kew DistrictCandidates
Southern Metropolitan Candidates
All Candidates

Calendar November 2010
 
Ibis over Kew Cottages in Novemberby 4Kew

Kew Cottages Candidates Survey

Victoria Votes
Spooner's True
                                      Believer Cartoon
Thursday 25th November 2010

Baillieu offers disabled a real alternative at Kew

There is now a clear difference in policies between the major parties for the development of the remaining 14 hectares of Public Land at Kew Cottages.

ALP Southern Metropolitan Candidate, Jennifer Huppertsays a Brumby Government will provide four more years of "great success", plus five story apartments overlooking the Yarra Bend Parkland.

Ms Huppert's  vision for the future of this project is "that it continues to deliver high quality integrated housing for former Kew Cottages residents."

On the other hand, however,Liberal MP for Kew, Mr. Andrew McIntosh says that a Baillieu Government will insist on the developer of Kew Cottages fulfilling all its contractual obligations, "including the preservation of 40 percent of the siteas open space and restoring the recreation building that was demolished in breach of contract".

In this week's Liberal Nationals Coalition policy statement on the future development of the remaining Kew Cottages Public Land, Mr. McIntosh says that a Baillieu Government will support the Kew Cottages Coalition Alternative 5-Point Plan.

 Mr. McIntosh says that:

"The (Liberal Nationals) Coalition is also aware of short-comings in the building of the 55 first stage private dwellings.  Despite the statement by then Community Services Minister, Sheryl Garbutt in June 2005 that surplus funds from the sale of the land would be invested in disability services, the Ombudsman’s report notes a departmental briefing of the Treasurer in March the same year advising that it was unlikely there would be any surplus from the project."

Outlining his personal vision for the future development of the site, Mr. McIntosh goes on to say:

"The future of the Kew Cottages site depends on the extant contractual arrangements between the Victorian Government and the developer.  Much of these arrangements remain shrouded in secrecy.  As no monies have or are likely to be applied to disability services as the original justification of selling public lands, my own personal vision would be that the Kew Cottages site remains part of the stock of public lands."

Mr. McIntosh says that, subject to any contractual obligations to the contrary,  all of the remaining Kew Cottages Public Land would be listed on the new Register of Significant Public Land to be established by a Baillieu Government.

He said that a Baillieu Government would also refer numerous concerns about the redevelopment of Kew Cottages to the Independent Broad-based Anti-corruption Commission once it is established in July 2011 for investigation and report.

President of the Kew Cottages Coalition, Brian Walsh, today welcomed the Liberal Nationals Coalition policy statement on the future of Kew Cottages. Mr. Walsh said, that "At last the disabled have a clear difference in policies between the major parties that they should consider when they vote on Saturday."

Mr. Walsh said, " The response we have received from both the Australian Greens and DLP is also extremely positive".

Southern Metropolitan Greens MLC, Sue Pennicuik, describes her vision for the site as follows:

"I am on the record as opposing the sale of the land at KRS for private housing and supporting the use of the remainder of the site for much needed disability respite care - in the spirit of what the land was originally set aside for. I support the five points below, with the qualification that I would support a register of public land no matter who is in government. The lack of a comprehensive register of Victoria's public land was a key finding of the Select Committee into Public Land Development, of which I was a member."


Responding by phone to the Kew Survey, Western Victoria DLP MLC, Peter Kavanagh,  said he still had major concerns about the State Government's inadequate response to the long standing needs of intellectually disabled Victorians.

He said he welcomed the Kew Coalition's Alternative 5-Point Plan for the Kew Cottages site, particularly the possibility of establishing new respite care and family support services for the disabled.

Mr. Walsh that he personally believed Mr. Kavanagh had been the intellectually disabled community's strongest supporter in the last Parliament, and that Mr. Kavanagh had played a pivotal role in establishing the two recent Public Inquiries held into the Kew Cottages Affair.

Mr. Walsh said, "Hansard is quite clear, the voting record is quite clear - without Peter Kavanagh's vote in Parliament Victoria simply would not have had the recent Parliamentary Inquiry into Public Land Development.

 "Similarly, without Peter Kavanagh's vote to refer the matter to the Ombudsman, the Government would not have supported the Victorian Ombudsman investigating the Kew Cottages and St Kilda Triangle Tender processes - so I think it is fair to say that Victoria owes Peter Kavanagh a lot," Mr. Walsh said.



Victoria Votes 2010: Kew Cottages Links.

Candidate Information
Lower House: Kew District Candidates (In VEC Ballot Paper Order)
Upper House Southern Metropolitan Candidates  (In VEC Ballot Paper Order)

Kew Cottages Coalition Local Candidate Survey Results (Responses in order of receipt. inc. Voting Ticket Group ID & Preferences )
Liberal Nationals Coalition 2 Responses 1, 2,  (Group G)
Australian Greens Response (Group F)
Christian Party Response (Group D)
Australian Labor Party 1. Query  2. Response  (Group H)
DLP - Democratic Labor Party (Phone Response) (Group B)

Responses Still Pending(Delayed Delivery as @25-Nov'10)
Vern Hughes Query (Group E)
Mike Cockburn (Ungrouped)

No Response  (As @25-Nov'10)
Sex Party(Group A)
Family First (Group C)


How to Vote Cards (VEC Registered)
Kew District
Southern Metropolitan Region

Kew Cottages Coalition
Alternative 5-Point Plan
for the development of the remaining Kew Cottages Public land.

1. Implement all of the Public Land Development Inquiry Recommendations on Kew Cottages
2. Implement all of the Ombudsman Kew Cottages Inquiry Recommendations
3. Register all the remaining Kew Cottages Public Land on the proposed Baillieu Government's new Registerof Significant Public Land
4. Boost State Heritage Controls to address the significant regulatory failings identified by the Ombudsman'sKew Cottages Inquiry
5. Refocus Government attention on upgrading services on the State Heritage site for the intellectually
disabled and the wider community





Monday 22nd November 2010Fact and  Opinion..Alice at the Tea Party

Welcome back to the 'Mad Hatter's Tea Party'... Where everything that is, isn't, everything that isn't, may be, and everything you think you know is absolute nonsense.

There has been another sudden flurry of activity.. the Dormouse has started reading the campaign tea leaves.

The Mad Hatter and the March Hare are back hard at work again mopping up more spilt milk with their paper napkins...

Alice springs into action, desperately seeking any glimmer of political vision through the looking glass election.

We try to help her by dispatching our Online Survey Form to all of the Local Candidates slowly door knocking their way to polling day.





Sunday 14th November 2010
Libs' preference bombshell
Paul Austin and David Rood


Make Brumby History
                            Protest at Parliament House

THE Liberals will direct preferences to Labor ahead of the Greens at the state election, virtually destroying the minor party's chances of winning seats in the lower house and seizing the balance of power in Victoria....
More


   Friday 5th November 2010
State Election 2010 :
Kew DistrictCandidates
Southern Metropolitan Candidates
All Candidates

Kew 2010 and counting...


Victoria - The Place To Be
 ?
Q1. Where have the 60 Respite Care bedsthat werehere at Kew gone to now ?

Q2. What are the Government's Election Plans
for the 14 Hectares of Public Land that still remain
at Kew Cottages ?

Q3. What are the Opposition's Election Plans
 for the 14 Hectares of Public Land that still remain
at Kew Cottages ?

"In a minute there is time for decisions and revisions which a minute will reverse..."








Kew Shuffle from The Archive...






Tuesday   7th October  2010
Don't ask, don't tell,
                                    don't know
Don't ask, don't tell, don't know

Paul AustinPaul Austin
is the state political editor of The Age


John Brumby and his ministers have a nasty habit of courting ignorance when scandals erupt on their watch.

In the last week of the 1999 Victorian election campaign, premier Jeff Kennett sat in Jon Faine's ABC radio studio and refused to answer some uncomfortable questions about alleged government impropriety. ''Keep going,'' Kennett told Faine, ''I'll just sit here and drink my tea.'' Kennett lost the election, and the interview has gone down in Australian political folklore as a tipping point.... More





September 2010
  3 months to the State Election

Calendar September
                                            2010
The Trojan House, Kew Cottages 2006by 4Kew

   Wednesday 1st September 2010
Main Drive Kew Buyers Beware !
Main Drive Kew
                                          Stage3B 50% Sold Sign
Nothing is as it seems
to Alice on Main Drive Kew...

 So what does this "50% Sold" Government Advertisement
 mean to you ?

Read how some of Brumby's latest (Stage 3B) 'House/land packages actually appear to have been 'Sold off the Plan' by the State Government without  Heritage Approval and without Planning Approval !
Has the March Hare no shame ?

Heritage VictoriaThe Heritage
                                                  Dormouse in a TeapotThe Heritage Club Cookbook.  Kew Cottages STAGE 3B

The Executive Director of Heritage Victoria issues Heritage Permit P15955 with conditions.
The proposed removal of heritage registered trees numbered 398 and 397 is not approved.




August 2010
  4 months to the State Election

Calendar August 2010
Kew Cottages Historyby 4Kew




Tuesday   31st August 2010
Main Drive Kew Buyers Beware !
Public Open Space Land Grab...


Walker Corporation and Major Projects Victoria are now understood to be seeking Planning Minister Madden's approval to grab an additional three (3) hectares of the Public Open Space at Kew Cottages and turn it into private properties and Road Reserves.

In a letter to  Boroondara Council Walker Corporation claim that Road Reserves should also be counted as part of the Public Open Space Requirement at Kew.

In August 2003  Boroondara Council proposed a minimum requirement for
Public Open Space at Kew Cottages be not less than
50% Open Space
(2003)

However, in November 2003  the State Government overruled the local Council and cut the Kew Public Open Space requirement to  27.5%.

In 2006 after strenuous public opposition to the proposed cuts the Public Open Space requirement was increased marginally to a 'non-negotiable' 

30%
(2006)

However, according to Boroondara Council's calculations Walker Corporation/Major Projects current claim means a further massive reduction in
Public Open Space  from 30%
down to only

18.6%
(2010)

But will the Planning Minister agree ?



Thursday   4th August 2010
Main Drive Kew Buyers Beware !
More Government secrets...
Main Drive Buyers Beware !
Main Drive Residents Warning

Main Drive Buyers Beware !Developer stonewalls

Stone Villas... and Stone Walls... Have you read the Government's fine print at Main Drive Kew ?

Walker Corporation and the Victorian Government launched their Main Drive Kew Stage 3B sales campaign last week.

 However, if you are thinking of buying, first read 
what The Australian  has to say about the developers, warns the Main Drive Owners Group...




Wednesday   3rd August 2010
Main Drive Kew Buyers Beware !
More Government secrets...
Main Drive Residents Warning

Main Drive Buyers Beware !What you pay for may not b e what
                                you get

Walker Corporation and the Victorian Government launched their Main Drive Kew Stage 3B sales campaign last week.

 However, if you are thinking of buying, first read 
what The Age has to say about Stage 1, warns the Main Drive Owners Group...




  Tuesday 2nd August 2010
Main Drive Kew Buyers Beware !
More Government secrets...
Main Drive Buyers Beware !Parliament of Victoria


Andrew
                                  McIntosh MP for KewLast week local MP Andrew McIntosh, raised residents complaints about Main Drive Kew in State Parliament.


Mr. McIntosh said that,  "When government is conducted in secret there is no guarantee of integrity, yet secrecy is becoming the hallmark of the Brumby Labor government, with increasingly real and genuine concerns about its integrity.

New householders of the Kew Cottages redevelopment have been finding out just how secretive the Brumby government is.... (Read More .)




Monday 1st August 2010
Main Drive Kew Buyers Beware !


Main Drive Residents Warning



Main Drive Buyers Beware !What you see may not be what you get

Walker Corporation and the Victorian Government launched their Stage 3B sales campaign last week, but the Main Drive Kew Owners Group is warning potential buyers that "What you see may not be what you get.."

The Owners Group represents residents who bought house/land packages from the Victorian Government in the first stage of the Main Drive Kew housing estate, and they say longstanding complaints dating back as far as 2008 still remain unresolved.

===




Saturday 26th June 2010

That Was The Week That Was...


Spooner Cartoon The Light on the Hill
Tandberg Cartoon



Thursday 24th June 2010




Watchdog slams 'inept' $400m projects

ROYCE MILLAR

STATE and local government officials damaged the integrity of two controversial development projects through poor handling of conflicts of interest and probity, according to the State Ombudsman.

In a 180-page report tabled yesterday, George Brouwer criticises both the state and the City of Port Phillip over the failed $400 million revamp of St Kilda's triangle site, and the troubled transformation of Kew Cottages for up-market private housing.... (Read More >>
)




Wednesday 23rd June 2010

Ombudsman VictoriaGeorge Brouwer. Victorian
                                  Ombudsman



"... My investigation was hampered because there were obvious gaps in the documents held on file and some important documents could not be located...
... A full set of records simply did not exist.
..

George Brouwer, Ombudsman Victoria



Wednesday 23rd June 2010Bill
                                              Shorten
Shonky Practices Revealed by Ombudsman:

The Government's Kew Cottages Project Director held shares in Property Developer !
and
The Government's Executive Director was also working for BP Australia !

Today's Report by the Victorian Ombudsman, Mr. George Brouwer, on the controversial Kew Cottages and St Kilda Triangle Public Land Developments has slammed the management of both developments.
Mr. Brouwer reveals that the Kew Development Project Director, Major Projects Victoria, had a conflict of interest, and had failed to declare that he held shares in a property development company, Mirvac.
(Read more >>)


Wednesday 16th June 2010
The Australian

Lang Walker settles developer claim


Maurice Dunlevy


A SUPREME Court action by a former Victorian chief executive of Mirvac against property billionaire Lang Walker has been settled out of court.

High-profile Melbourne developer Kevin Hunt, a former consultant to Walker Corporation's $400 million Kew Cottages development, claimed he was owed millions of dollars after being dumped from the luxury housing project in mid-2007.

Walker Corporation, which had earlier employed Mr Hunt as its Victorian business development manager, later hired him as a consultant to lead the controversial inner-east redevelopment of the disabled persons facility, a joint venture between Walker and the Victorian government.

Walker and HuntHowever, Walker subsequently terminated the Hunt consultancy agreement, claiming the initial 44 homes built  as part of the first 55-property stage one of the project were behind schedule and over budget...
 
Read More >>







Wednesday 14th April  2010 Fact and  Opinion..

Spooner's PPP Cartoon Not
                                  the Last Supper
Revealed: More Details of Brumby's Secret Contract Alice at the Tea Party

For the past four years the State Government has shown that it is determined to keep the financial details of its Kew Development deal with Walker Corporation secret.

In December 2008 the Victorian Parliament finally lost patience with the Brumby Government's secrecy, and the upper house of review unanimously referred
the Walker Corporation Contract to the Victorian Ombudsman. At the time of writing, the Ombudsman's investigation into the Main Drive Kew tender process is still continuing.

Last year, the Government again failed to respond to the Report of the of the Upper House Inquiry into Public Land Development. The Parliamentary Inquiry had found that the Walker Corporation Development had "not been in the broader public interest."

This year, the
State Government has continued to dodge questions in Parliament about its 'Main Drive Kew' deal with Walker Corporation.

Last month, hard questions from  Boroondara Council about the
State Government/Walker Corporation  housing estate plans  also went unanswered.

Boroondara Council had found that not all was what it seemed in
Walker's Planning Permit Applications. The Stage 3A Application Plans were not in accordance with the approved master plan  for the site (WDPK 2007).

 The Council told Heritage Victoria that
:

The proposed development is not in accordance with the approved Walker
Development Plan dated November 2007. It would appear that the plans have
been modified, that being in relation to the proposed road layout and network and
the type of dwellings abutting the heritage core. Furthermore, it appears that the
open space areas have been reduced in size as a result of the modifications.
Concerns are raised in relation to any reduction in open space as a result of
development or road networks.

However,  the Government's CPS today reveals that not only had the plans for Stage 3A and the Heritage Core indeed been modified at least five months before Boroondara Council were asked to comment on them, but that Walker Corporation appears to have had a secret contract with the
Government signed on 28 August 2009 to prove it !

Indeed not only had the Kew site layout in the individual staging plans been modified, but the Main Drive Kew Development master plan for the whole 27 hectares of the site - the 'missing master plan' that Boroondara was so concerned about in March 2010, had also already been modified too.

As in the Windsor Hotel email scandal, it appears that despite all of the Government's rhetoric about "planning processes" and "public consultation", the reality of the Government's decision making processes at Kew Cottages is still  simply to, "shoot first, and ask questions later ! "

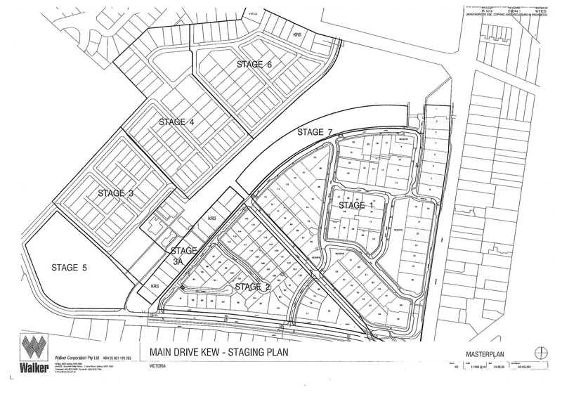
The Government's first shot on Stage 3A and the Heritage Core appears to have been  fired on 28 August  2009 when they changed the Main Drive Kew - Staging Plan and Masterplan buried deep in the 2006 Walker Corporation Kew Development Agreement.

The first question they decided not to ask was, "Does the new plan breach the 30% open space rule ?"

Secret
                                                      Masterplan
                                                      28-Aug'09

The Secretly Modified Masterplan
Now, in April 2010, we finally learn that the Government actually agreed to this new 'Masterplan'  in an amendment to the Walker Contract made over six months ago in August 2009.


Source Documents
  1. Walker Part 1 Deed of Variation signed 28 August 2009
  2. Walker Part 2 Deed of Variation signed 28 August 2009
  3. Walker Part 3 Deed of Variation signed 28 August 2009
  4. Walker Part 4 Deed of Variation signed 28 August 2009

It now appears, therefore,  that the whole Stage 3A Public Consultation process started by Heritage Victoria in February 2010 has been little more than a charade !

The similarities to the Windsor Hotel Public Consultation Scandal are remarkable. In the case of the Windsor Development email the Government strategy outlined was to use a period of public consultation to camouflage a predetermined outcome.

In the case of the Kew Development it appears the Government decided to go one better - shoot first and ask questions later. 

First they signed the Deed of Variation, with Walker Corporation
then they started consulting the public..

So the 'secret outcome' here at Kew actually preceded the consultation by 5 five months !


What a sham ...



Thursday 1st April 2010



Fund-raising Cartoon Tandgerg
Labor Party scraps fund-raising event

Read More >>




Friday 12th March 2010


Parliament of
                                            Victoria  "Help keep the bastards honest... "

Planning Minister Justin Madden gatecrashes inquiry into Windsor Hotel email scandal demanding to be heard
Justin Madden interviewed
                                        at Parliament House
Justin Madden holds court yesterday

Stephen McMahon, AAP

PLANNING Minister Justin Madden sent parliament into high drama with an angry shouting match and showdown with opponents in a committee hearing.  Read More >>





Tuesday 23rd February 2010
Justin Madden washes his hands of Kew Cottages

Parliament of Victoria

Parliament of
                            VictoriaVICHANSARD



Title    Kew Residential Services: site development
House    COUNCIL
Activity    Questions without Notice
Members    KAVANAGH
Date    23 February 2010
Page   341
Peter KavanaghQ. Mr KAVANAGH (Western Victoria) --
My question is for the Minister for Planning, and it relates to evidence he gave to the Select Committee on Public Land Development about the development of the Kew Cottages site. As the minister knows, stage 1 of the ongoing Kew Residential Services project was expected to return a profit of over $6 million. However, the project liaison group of the developer, Walker Corporation, announced quite some time ago that the project will actually lose more than $17 million on stage 1. I ask the minister how this happened and how in particular the government manages to lose money just by selling land that it already owns?


Justin MaddenA. Hon. J. M. MADDEN (Minister for Planning) --
I will be frank: I find this quite a bizarre question, because I am the planning authority, and the planning authority is not in the business of providing for or making money for developers in any context. My role is to be the relevant planning authority in terms of decision making on a strategic basis or the controls on a particular site. On the question, if there is an issue about the project, that should be directed to the developer, who has made money or lost money. I could not give the member an answer on that, because I make my decisions in relation to my planning authority or I monitor, through the advice of my department, whether those planning controls have been complied with. I receive that advice, but whether a developer makes money on a project is not necessarily something I follow closely or identify with. What is of particular importance here is that the land was disposed of, there is a developer on the site and the developer will either make money or lose money on the basis of whether they have chosen their market in the right way and whether they have developed that site according to the market demand... (Read More >> )





Monday 15th February 2010



Four Corners:
                                Breaking Point Broadcast 15-Feb'10

Breaking Point
ABC-TV Program Page inc Video


Program Transcript
Read the program transcript for Wendy Carlisle's report Breaking Point, first broadcast 15 February 2010.

Reporter: Wendy Carlisle


...... BRUCE BONYHADY, ADVISORY PANEL ON DISABILITY SUPPORT SCHEME: It doesn't matter where you look across the sector, across the states of Australia the system is broken.

BILL SHORTEN, PARLIAMENTARY SECRETARY FOR DISABILITIES (at National Press Club): I make no apology for seeing disability as an issue not purely of resource allocation but of basic civil rights. I believe it is the last frontier of practical civil rights in this count...

WENDY CARLISLE (to Bill Shorten): What do you say to the ageing carers while they're waiting maybe the six, seven years for maybe the big reform to come through?

BILL SHORTEN: First of all I'd say we've increased the funding to the states. That's a matter of record. And we've increased the pension. That's a matter of record. And that's useful stuff and I'm sure many of them would concede that.

But what I would fundamentally say is that we cannot say that we're fully doing our job to you until you're removed to that anxiety of what will happen to your adult child.

So at this stage I can't blow smoke in their face and say listen, it's all going to be fine, because we don't know that.

All I can say to them is that I'm quite dedicated to ensuring that we do have a national disability insurance scheme in some form which will relieve them of that burden.

KEVIN RUDD, PRIME MINISTER (at NSW Labor State Conference, 2008): She spoke about the fear that so many older carers have across the country, their concern for what happens to their disabled children once they are no longer able to provide the support that they have offered through a lifetime...

WENDY CARLISLE: In May 2008 the Prime Minister announced a special $100 million housing fund for people like Anne McDonald, Robbie Jones, and his friends.

KEVIN RUDD (at NSW Labor State Conference, 2008): We don't pretend to have a total solution to this problem. But it's time we began to turn the corner.

We will commit a further $100 million in the budget in immediate new capital funding for supported accommodation for people with a disability.

BILL SHORTEN: We gave $100 million. The Prime Minister came up with that initiative after listening to some carers. The Prime Minister and Jenny Macklin came up with that initiative after talking with carers in Western Sydney.

It was for 300 places. We understand that 68 places are now being established from the reporting to the state. We give the money to the states.

Rudd up sot "we do not pretend to have a total solution to this problem, but it's time we turned the corner..."

WENDY CARLISLE: Four Corners has examined the fate of those funds and can confirm only 40 new beds across Australia; just seven in New South Wales, 19 in Queensland and 14 in Western Australia.

In nearly two years neither South Australia, the Northern Territory, the ACT, Tasmania, norVictoria have provided one bed between them.


Read More from the Transcript   >>  or go to the ABC-TV FOUR CORNERS  program page: "Breaking Point" >>

ABC-TV



Monday 15th February 2010

Bill Shorten's Office emails the Kew Coalition...   I apologise for the delay in responding to your original email. I have asked our Department to consider your email as a matter of urgency and a response will be forthcoming in the near future...


Monday 15th February 2010

f

Projects built at the expense of community


Kenneth Davidson's article in The Age (p.11)

... The Brumby government appears most sleazy when it attempts to justify the handover of public land that morally belongs to the most disadvantaged groups in the community....

The redevelopment of the 27-hectare Kew Cottages site that displaced 400 intellectually disabled residents was justified on the grounds that they should be reintegrated into the community - a bogus argument that ignores the evidence that most prefer to be integrated with their peers rather than the general community who, in the main, reject them.

It was also a cruel argument because it ignored the needs of some 4000 disabled on the waiting list for institutional care and their increasingly desperate, ageing carers. Building more cluster housing on the Kew site offered the best hope of an increase in institutional care and a serious effort to reduce waiting lists.

Even worse, instead of making money for the government, the development has somehow lost $17 million from building and selling the first 55 up-market homes on one of the most valuable sites in Melbourne.

The Kew Cottages Coalition of parents and concerned citizens want the development stopped immediately, at least until the Ombudsman's inquiry into the fiasco is completed and its results published, hopefully before the election.

But this coalition is a tiny organisation with just a small bank deposit. It is up against powerful Sydney developer the Walker Corporation, which employs former Labor senator Graham Richardson as its government lobbyist. Between 1999 and 2007, the Walker Corporation donated $205,000 to the state ALP, $300,000 to the federal ALP and $300,000 to the Coalition parties. In Victoria, money talks.

Kenneth Davidson is a senior columnist.

kdavidson@dissent.com.au

 (Read More >> )
http://www.theage.com.au/opinion/politics/projects-built-at-expense-of-community-20100214-nzdn.html



Saturday 13th February 2010...Bill Shorten
A phone call from Bill Shorten MP ...  With apologies for the delay. A response to our June 2009 letter is on its way he says...




 
Thursday 11th February 2010...

Disability Care in Australia

In Canberra the Federal Government is  getting ready for yet another 'Public Inquiry' into Disability Care and Support...

In Sydney ABC-TV begins its National Television on air promotion for its Current affairs  FOUR CORNERS program "Breaking Point".


"The system of assistance for people with a disability in Australia is broken..."

says the ABC press Release

 ... Carers know it, charitable organisations know it and so do the governments.

Now the federal government says something must be done. It’s holding an Inquiry, with the intention of creating a new and fairer system.

It’s even considering a national disability insurance scheme. But will the system be reformed in time to save the families now at breaking point?
"



Here in the DHS Eastern Region of Melbourne there is a sense of deja vu - In Victoria we have already had many Inquiries.

The latest Victorian Parliamentary Inquiry found that the Victorian Government needs to invest further in respite options to support families to
continue in their caring role and to give people with a disability and/or mental illness the option to stay at home.

And yet on 18th  November 2008 within days of the latter Inquiry hearing first hand evidence of just how broken the system of assistance in Victoria really was,  the State Planning Minister. Mr. Justin Madden,  proceeded to quietly and secretly approve a demolition plan for the Kew Cottages community facilities for the disabled.

These were the same facilities that had already been referred to the Premier for review, by the Parliamentary Inquiry into Public Land Development (#397, p.121, 2008)

And then, on the day after Madden's demolition order,  having once again politely declined our long standing request to meet with her in order to discuss the future use of the Kew Cottages respite and recreation facilities,  the State Community Services Minister, Ms. Lisa Neville finally wrote back to say-



".. We have opted to develop locally available respite services which include a range of options
such as facility based (out of home) in-home and holiday respite. We have increased respite
funding in 2008-09 by $12.4m over 4 years. We have directed these supports to meeting the
needs of people in their local communities...

Kew 2008
Kew 2009



"As part of the staged redevelopment of the former Kew Residential Services site there will be

recreation facilities such as a small hydrotherapy pool, community rooms and rooms for
visiting health workers...

"The details are yet to be finalised ... "
             

Lisa Neville, Victorian Minister for Community Services
19 November 2008


Kew 2010 and counting...


Victoria - The Place To Be
 ?


"In a minute there is time for decisions and revisions which a minute will reverse..."
February 2010
The Wasteland  remains ...

So why did the Victorian Government shoot itself in the foot ?
In November 2008 there were 1358 people on the Urgent Waiting List for Supported Accommodation in Victoria.
In June 2009,
in the Eastern Region of Melbourne alone,  there were 118 Families on the Waiting List for Respite Care.
So why suddenly demolish the 60 Eastern Region Beds and Hamer Swimming Pool when they were still in such high demand for disabled Victorians ?
Why not build extra Disability Accommodation first ?


In May 2008 the Federal Government  had promised  $100 million extra funding for the States to spend on Disability Accommodation, so in June 2009 we wrote to Canberra asking them to intervene and help find some answers.

The Federal Parliamentary Secretary for Disability,  Bill Shorten, had previously expressed a desire to help. But when we asked him to intervene and find out why Victorian Planning Minister, Justin Madden had suddenly approved the demolition plan for the Intellectually Disabled's Swimming Pool, Medical Centre, and 60 Respite Beds, Bill Shorten had remained unusually silent.

We think his office may have 'lost the email'. So now with FOUR CORNERS  due to go to air in 4 days time we are sending  Bill Shorten  another copy of our questions....





Kew Public Meeting
Tuesday 2nd February 2010

Calls on the Brumby Government to stop any further construction works on the Kew Cottages public land pending consideration of the Ombudsman's Report by both houses of State Parliament... (Follow via Twitter..)




Summary of
KCC
Presentation
(More..)

Motions carried



KEW COTTAGES COALITION INC. PRESENTS

Kew Cottages
and the
State Election

A MIDSUMMER NIGHT's

PUBLIC MEETING
MC

Rod Quantock, MC

Rod Quantock

Andrew
                                      McIntosh MP for Kew   John Lenders, ALP MLA
                                      Southern Metro  Jennifer Huppert, ALP MLA
                                      Southern Metro

Andrea Coote MLA Southern
                                      MetroDavid DavisSue Pennicuik, Greens MLA
                                      Southern Metro

All Local Members of State Parliament have been invited  inc:
Andrew McIntosh (Liberal) John Lenders (ALP)Jennifer Huppert (ALP)

Andrea Coote (Liberal),   David Davis  (Liberal, Chair. Public Land Inquiry) ,   Sue Pennicuik (Greens)


 7pm Tuesday 2nd February 2010

Phyllis Hore Room
Kew Civic Centre
Cnr Cotham Road and Civic Drive
KEW


Melways  Map 45 D6


The next instalment in one of Melbourne's most contentious Major Projects.

Topics for discussion:
  • How has the State of Victoria managed to loose 
      $17 million building and selling 55 houses in Kew ?
  • What will each of our local MP's do about protecting all of the remaining
    Kew Cottages
    Public Land if re-elected ?

  • Do our MP's support the Kew Coalition's Alternative Plan ?

  • How can the community help ?
       **
Follow kewcottages on Twitter

ALL WELCOME !  






Herald Sun

Australia Day

Tuesday 26th January 2010


A CAMPAIGNER for better treatment for mentally ill young people is this year's Australian of the Year.

Youth psychiatrist Patrick McGorry, from Victoria, was named the winner at a ceremony in Canberra…
He runs the Orygen Youth Health service and is the director of Headspace, Australia's National Youth Mental Health Foundation....
Patrick McGorry

(Read More >> )
Newsletter January 2010

Download

Kew Cottages - Alternative Plan Update:
Family Support and Respite Care


The Kew Coalition's original Public Land Plan for Kew Cottages
was endorsed by the all party Parliamentary Inquiry into Public
Land Development. Our plan was based in part on the adaption
and re-use of some existing high quality disability facilities....

(Read More >>)
(PDF Print Version)
**
Follow kewcottages on Twitter







2010
2010 Calendar

The story so far...

 In the beginning, way back in 1887,  Kew Cottages was Australia's  first 'Government Insurance Policy' for intellectually disabled kids and their families.

It offered asylum for the children on a piece of public land outside of the walls Willmere that was permanently reserved by an Act of Parliament for the intellectually disabled.

Today, Kew Cottages is like a "canary down a coal mine". Nearly half of the public land surrounding the cottages has been privatised and sold off by the Brumby and Bracks Governments.

There is a strong smell of corruption in the air. The State's anti corruption watchdog began investigating the Victorian Government's contract with NSW developer Walker Corporation a year ago in January 2009.

However, despite the investigation, and despite large and unexplained losses on the land sales, the Government has pushed ahead with the Main Drive Kew contract.


**
Follow kewcottages on Twitter


From The Archive... 2009

Sunday 20th December 2009

To preserve democracy, political donations must be limited
Josh Gordon
Josh Gordon
National political reporter for The Sunday Age

WHAT price democracy in Australia? As far as the broad mass of taxpayers are concerned, not that much, it seems. For the 2007 federal election, taxpayers chipped in about $49 million to help political parties run their campaigns, up from $10.3 million in 1987.

That might sound like a lot, but compared to public funding for elections in other countries, it's relatively small beer.

This is not to say Australian elections are cheap. In fact, the cost of funding them has been rocketing. Labor's spending rose by 116 per cent in real terms over the 20 years to 2004. Liberal spending surged 136 per cent.

Public funding makes up just 20 per cent of election spending in Australia. The rest comes from a morass of donations, membership and affiliation fees, investments and fund-raising.

Ask Premier John Brumby and he might say that this is all part of the democratic process. Is it not a basic freedom for individuals and companies to contribute to a political party if they wish?

But perhaps a more pertinent question is whether that ''basic freedom'' carries with it an even bigger cost: the erosion of the democratic process itself.

John Faulkner, previously special minister of state and now defence minister, warned in a green paper on electoral reform that ''spiralling costs'' of electioneering had created a campaigning ''arms race''.

This has heightened the danger that fund-raising pressures would open the door to donations that might attempt to buy access and influence...


(Read More >> )
The Daily Telegraph Sydney
                                  Australia

Tuesday 15th December 2009

Graham Richardson is still a figure of influence
 
  Graham
                                  Richardson
Irritated ... Graham Richardson during the inquiry / Pic: Alan Pryke Source: The Daily Telegraph

Gemma Jones and Angela Kamper write:

LABOR heavyweight Graham Richardson revealed himself as an unpaid policy adviser to Premier Kristina Keneally's Government yesterday.

In sometimes heated exchanges at a State Government committee related to the Michael McGurk affair, Mr Richardson was asked about his contact with the State Government's leadership plotters and his influence in Government ranks.

The former federal minister and now lobbyist, who said his car is his office, said he was in close contact with "puppeteers" Joe Tripodi and Eddie Obeid as well as controversial MP John Della Bosca in the lead-up to former premier Nathan Rees' downfall.

Since Ms Keneally became Premier earlier this month, Mr Richardson said he had been offering free advice on policy matters but he denied he influenced the leadership change...

(Read More >> )

ABC News
ABC Stateline Victoria

Friday 4th December 2009

Victoria's disabled housing 'in crisis'

Source:    Stateline Victoria
Published:    Friday, December 4, 2009 12:00 AEDT
Expires:    Thursday, March 4, 2010 12:00 AEDT

Numerous stories of heartache from angry families have been told to a parliamentary inquiry into housing for Victoria's disabled, including the case of an autistic man who was driven to self-harm after being locked in a small room for hours on end.

JOSEPHINE CAFAGNA, PRESENTER: A parliamentary inquiry into accommodation for disabled Victorians is expected to uncover a system in crisis. The committee has heard countless stories from families in despair; among them are Mark and Ellen Modra. They've watched their autistic son, Luke, deteriorate to the point of self-harm, after spending hours locked in a room with little more than a bed and a toilet. Erin Cassar reports.

(Read More >> )






Tuesday 17th November 2009

Will Brumby Match NSW Ban on Developer Donations ?

Brian Walsh, President, Kew Cottages Coalition, today called on the Victorian Premier John Brumby to match the sweeping changes to State and Local election campaign funding announced by NSW Premier Nathan Rees on Saturday.

Mr. Rees told the ALP State Conference in Sydney that 'a clean slate' ban on all donations from developers would apply to all levels of the party in NSW.

Mr. Walsh said that all States and all political parties stood to gain by banning developer donations.

"This electoral reform is long overdue", Mr. Walsh said. " NSW has finally seen the writing on the wall. The public has had enough of the stench brought about by large political donations linked to Labor lobbyists like Graham Richardson, and contentious developments like Kew Cottages."

"Why has Victoria been dragging its feet for so long on this issue ? A national ban on developer donations is vital," Mr. Walsh said, otherwise the problem in Victoria and other States will just get worse."

"Unless Brumby acts quickly to  match the NSW ban on donations,  'dodgy developers' from NSW will be able to start using Victoria to help 'ride around' the ban they now face in their home State," Mr. Walsh said.






Tuesday 3rd November 2009

$10,000 to sit next to Brumby


ROYCE MILLAR AND PAUL AUSTIN write

PREMIER John Brumby is under mounting pressure over companies giving cash to the ALP while seeking access to Victoria's coal reserves, with the revelation that the main sponsor of a party fundraiser last week was a high-profile coal entrepreneur.

Latrobe Fertilisers, a company proposing to turn coal into fertiliser, is pushing the Government to open Gippsland's coal fields for non-energy use. The company was the ''Gold'' sponsor of last Thursday's annual dinner for ALP fund-raising arm Progressive Business.

The company's chairman, Allan Blood, sat at Mr Brumby's side for much of the evening in return for contributing $10,000 to the ALP.

Mr Brumby refuses to comment on such discussions...

Read More >>


Friday 16th October 2009

Disability watchdog hits out

PAUL AUSTIN writes

A disabled and mentally ill woman has been locked up against her will in inappropriate accommodation for 21 years under state care, and nine other people with ''dual disabilities'' have suffered the same fate for at least the past eight years.

Their cases have been condemned as a breach of the Victorian Government's human rights charter in a report to Parliament by the state's disability watchdog.

The Office of the Public Advocate's report, based on the findings of more than 5000 visits to psychiatric facilities and other state-monitored care homes last year, paints a picture of residents living in fear in sub-standard accommodation, overseen by overworked and sometimes poorly trained staff.

It calls on the Government to dramatically boost funding for better quality accommodation and care for thousands of weak and disabled Victorians.

Public Advocate Colleen Pearce told The Age last night: ''We are failing our most vulnerable citizens when the Government does not provide adequate housing and social support.''...

Read More >>

SMH

Tuesday 15th September 2009



Chilling words from The Fixer

Andrew Clennell writes


The words from Graham Richardson in February were almost chilling. They came down the phone with arrogance and defiance.

It was a conversation The Sydney Morning Herald was having with Richo about him having to step out of the shadows after Premier Nathan Rees had set up a lobbyist register.

The former senator and Labor general secretary registered at the time as a lobbyist for Medich Property Holdings, Walker Group, Hardie Holdings, Bradcorp and Berowra Waters Marina P/L.

Richardson was as he always is: highly articulate, intelligent, and without any care or sufferance for a meddlesome journalist who might want to query his dealings with government or the Labor party.

"I don't have to talk to ministers, I can get things done through other means," Mr Richardson said.

"Often it's better not to talk to them [ministers] because if I do, people like you want to make something of it," he said.
Read More >>


The Age
State Politics


Thursday 4th June 2009

Australia's State of Disgrace


Why Justin Madden was censured by the Victorian Parliament

Minor Political Parties - the New Conscience of Spring Street ?

Large political parties in Australia have two things in common, no matter their political persuasion, they have all been accused of both branch stacking, and  of accepting dodgy political donations.

But after Brimbank, both the Greens, and the DLP, the two minor parties on the cross benches in the Victorian Parliament have had enough of the damage associated with such practices.

Brian Walsh, President Kew Cottage Coalition  interviews Peter Kavanagh, DLP about why he supported the 3-Jun'09 'No Confidence Motion' against Planning Minister, Justin Madden - the first such censure of a Victorian State Minister in 20 years.

Dur: 4:39
==

Kew Cottages future - Peter Kavanagh MP from Kew Cottages Coalition on Vimeo.

==


Interview - Peter Kavanagh MP from Kew Cottages Coalition on Vimeo.




Victoria

Australia's State of Disgrace ?


Cr Phillip Healey,
                                            Boroondara Council

"The Disability Sector has paid too high a price for what has happened here at Kew

... it is an absolute disgrace in my view...
"

Cr. Phillip Healey, Boroondara Council

View Planning Backlash Video >>>
http://www.vimeo.com/4513554
Courtesy: marvellousmelbourne.org





Progress Leader
Tuesday 31st March 2009


Demolition Outrage, Progress
                                  Leader



Cassie Maher writes:
BOROONDARA councillors are outraged that buildings they proposed be used to house bushfire survivors at Kew Cottages have been demolished.

The Hamer Centre and hydrotherapy pool were bulldozed by developer Walker Corporation with approval by Major Projects Victoria (MPV) and Heritage Victoria on Thursday, March 19.


State Government spokesman Chris Owner said MPV received approval from the Department of Human Services that the pool was not being used and was not required.

He added under the Planning and Environment Act 1987, Mr Pallas could not intervene where demolition permits had been issued.


Walker Corporation declined to comment.

**********
Kew Community Facilities Questions.

Given Clause B15 of the Walker KRS Development Agreement (see below*)

Question 1.
Is it now too expensive for DHS to provide its disabled residents with hydrotherapy ?

Question 2.
If the hydrotherapy pool was not being used, as is now claimed by Major Projects Victoria (MPV) and DHS, what "equivalent alternative facilities" have been provided for the intellectually disabled residents, and at whose cost  ?

Question 3.
What steps has the Minister for Major Projects, Mr. Pallas taken to ensure that Walker Corporation has fully complied with their contractual obligation to
provide:
    • ... at the Developer's  cost access to equivalent alternative facilities to the hydrotherapy pool so  that KRS Residents have access to a hydrotherapy pool at all times ?  (Clause B.15)



*Extract from KRS Development Agreement 27-Oct'06 (p.94)

B15 Community Facilities

B1 5.1 Hydrotherapy pool
(a) Subject to paragraph (b) the Developer must ensure that there is
continuous access to the hydrotherapy pool at all times during the
Construction Works until an alternative hydrotherapy pool is available as
part of the Recreation Centre.
(b) If the Construction Works result in the hydrotherapy pool being
unavailable for use prior to completion of the Recreation Centre, the
Developer must provide to the satisfaction of the State at the Developer's
cost access to equivalent alternative facilities to the hydrotherapy pool so
that KRS Residents have access to a hydrotherapy pool at all times.

See:


Department of Infrastructure
  Major Projects Victoria
    Contract Details
    Contract No        3669
    Title        Kew Residential Services Development Agreement
    Type of Contract        Construction contracts
    Total Estimated Cost        $60,000,000.00
    Start Date        27-October-2006
    Expiry Date        26-October-2014
    Status        Open
    Category        Building, Construction and Maintenance Services






Thursday 19th March 2009
Brumby The Wrecker Was Here..
Brumby The Wrecker
                                      Was Here !
The Crescent Kew


Has Victoria's ordeal by fire made Premier Brumby suddenly take leave of his senses at Kew Cottages? Or does he perhaps know something about his Government's wheeling and dealing with the Walker Corporation and former  Senator Graham Richardson, that the public does not yet know ?

How else can one explain the fact that at a time of National Disaster, the State Government is not only
demolishing the unsafe remains of those homes ravished by the bushfires, but has now rushed into demolishing the highest value emergency special accommodation that it still has available at Kew Cottages to help victims of the fires ?

Brian Walsh, President, Kew Cottages Coalition, said today that, "The demolition of the Hamer Centre and hydrotherapy pool this week appears to be Brumby's belligerent response to Boroondara Council's reasonable request for the Kew Cottages demolition to stop."

"This looks likes political vandalism of the worst kind ," Mr. Walsh said. As soon as Council wrote to the Premier requesting a halt to demolition, the Government's contractors, Walker Corporation and Delta Group, appear to have done the exact opposite ! Instead of halting demolition they have speeded up demolition. They have rushed their bulldozers from Stage 2 on the southern boundary of the Cottages right down to Stage 6 on the northern boundary, specifically to target and demolish the highest value public assets left standing on The Crescent. These are the very buildings that the Parliamentary Public Land Inquiry asked the Premier to investigate as a potential Respite Centre for the intellectually disabled."

Mr. Walsh said that,"now that the State's deal with Walker Corporation is under investigation by the Ombudsman, the Government appears to have simply panicked. Do they really think that if they adopt a 'scorched earth policy' it will help get them out of the mess that they have got themself into at Kew Cottages ?"

"There is no other rational explanation," Mr. Walsh said."There is no public benefit to be gained from the demolition. The Government's own blueprint for the site doesn't now envisage any new buildings will be constructed on this part of the site until 2012 - and their completion date has slipped back to 2014 at the earliest.  So the existing community facilities  on The Crescent, including the Hamer Centre swimming pool, could have been put to very good use for another couple of years at least,  giving Government plenty of time to review all their options for the future management of the Cottages for disability services, as requested by Boroondara Council.

"Indeed, in their haste, the Government seems to have now completely forgotten the fact that Clause B15 of the Contract now under investigation by the Ombudsman, actually requires Walker Corporation to ensure that there is continuous access for residents to the hydrotherapy pool in the Hamer Centre until an alternative pool is built.

"As the proposed new pool has not even been started, it looks like the Government has still got a lot of explain to do to existing DHS residents, as well as those on waiting lists for respite care," Mr. Walsh said.

Demolion of
                                        Unit 24 The Crescent
The Demolition of Unit 24 on The Crescent. Photo KCC.


Progress Leader
Tuesday 10th March 2009
Kew
                                          School Chockers

Kew school chockers
James Dowling writes..

KEW Primary School is “bursting at the seams” and the State Government has known of its predicament for more than 10 years.... >>


Are you surprised ?


Tuesday 3rd March 2009

And then there is the traffic issue...
Progress Leader

Opinion


Prevention needed,
                                        Letter to the Editor
Prevention needed - John Barlow, Kew


Click here to see what the traffic referred to by John Barlow looked like a year ago (April'08 ) And as Mark Staff has found, the traffic problem "during the morning and afternoon peak periods" has already got a lot worse...



Tuesday 24th February 2009

Disability Accommodation for Bushfire Victims.

Lobbyists hit back

Brian Walsh, KCC, and recently vacated
                          Units at Kew Cottages
Brian Walsh at Kew Cottages.  Photo: Progress Leader

James Dowling writes in the Progress Leader

A KEW lobby group, which has been trying to stop the Kew Cottages development, has denied it is exploiting the bushfire disaster to achieve its goal.... Planning Minister Justin Madden's spokesperson said that the buildings recently vacated were unsafe..(More >>)

Kew Cottages Coalition's President, Brian Walsh, said today that Mr. Madden's claim that the recently vacated buildings were 'unsafe' sounded as though the Minister was out of touch, and poorly advised.

"It would be good if Mr. Madden would visit the Cottages and see the accommodation for himself",  Mr. Walsh said.

"We suggested to the Premier that the Government could make available Units 23,  24, and 25 on The Crescent. DHS itself has said these units are among the 'best' on the site, and they should know - because DHS only recently vacated the buildings. So the  'safety' problems that Mr. Madden is worried about are unlikely to be structural, and should not be hard to fix." Mr. Walsh said.

"If Walker Corporation have already disconnected some of the services, sewerage, fire alarms, power etc, then they should be able to reconnect the services very quickly. Walker Corporation  already have the expertise on site, and I am sure they would be more than willing to help DHS get Emergency Accommodation safely up and running as soon as possible after the fires.

"There is also a Hydrotherapy Pool close to the DHS Units on The Crescent - in the Hamer Sport and Recreation Centre. I understand that Walker Corporation's contract requires them to ensure that there is continuous access to this pool at all times during the Construction Works. So I would hope that the Hydrotherapy Pool,
as well as the accommodation, could be made available by DHS to help bushfire victims." Mr. Walsh said.

Other Links:










Sunday 22nd February 2009

National Day of Mourning
Yarra Glen Bushfires
View of Yarra Glen during bushfires submitted by community volunteer (Photo: National Trust)

The National Trust asks people to support the Australian Red Cross – Victorian Bushfire Appeal at National Trust Properties this Sunday 22/2/09

The Trust a registered charity will also donate $1 for every visitor

Kew Cottages listing on the National Trust Register



Tuesday 17th February 2009
BushFire Appeal



Disability Accommodation for Bushfire Victims.

Boroondara Council last night resolved to write to the State Government to immediately cease demolition at Kew Cottages while they consider the use of the undeveloped portion of the land for disability and more immediately Bushfire relief.

Kew Cottages Coalition has  appealed to the State Government to immediately make available recently vacated accommodation at Kew Cottages for Bushfire victims - particularly those with special needs.



Saturday 7th February 2009
Black Saturday
Black Saturday Bushfires




Tuesday 3rd February 2009

Incompetance Shown
Incompetence shown - Elizabeth Bentley, Rosebud
Draw the line
Draw the line - Richard Grummet, Hawthorn East




Kew Public Meeting

Calls on the Government to halt all demolition, and all development approvals at Kew Cottages pending the outcome of the Ombudsman's investigation into the Government's Kew Cottages Development Agreement with Walker Corporation.... (More..)




Summary of
KCC
Presentation
(More..)

Motions carried
 

Kew Public Meeting
Tuesday 3rd February 2009

KEW COTTAGES COALITION INC. PRESENTS

KewRuption ?
at
Kew Cottages
and
Kew Residential Services
A MIDSUMMER NIGHT's

PUBLIC MEETING
MC Rod Quantock

Rod Quantock, MC


Guest Speaker

David Davis

David Davis MP
MLC Southern Metropolitan Region
Leader of the Opposition (Council)
Former Chairman, Select Committee on Public Land Development


  7pm Tuesday 3rd February 2009

Phyllis Hore Room
Kew Civic Centre
Cnr Cotham Road and Civic Drive
KEW


Melways  Map 45 D6


The next instalment in one of Melbourne's most contentious major projects.

Topics for discussion:

ALL WELCOME !










The Age
Tuesday 3rd February 2009

Big property developers help line the pockets of ALP

  • Royce Millar

MP Evan Thornley gave more money to
                            Victoria's ALP than any other individual.

MP Evan Thornley gave more money to Victoria's ALP than any other individual. Photo: Craig Abraham

JOHN Brumby's ALP continues to be bankrolled by companies either enjoying or seeking its favour, notably controversial property developers theWalker Corporation and Bensons Property Group.... >>>






Tuesday 27th January 2009
Cottages
                                            'conflict', Progress Leader,
                                            27-1-08p7
Cassie Maher writes in the Progress Leader:

KEW Cottages Coalition is demanding an independent investigation into heritage approvals for the contentious site....


( View  readers' comments here )







From The Archive... 2008
**
Follow kewcottages on Twitter
The Age
Saturday 13th December 2008
Cottages Plan Under Attack

Cottages plan under attack

  • Royce Millar, Age Investigative Unit
  • December 13, 2008

THE State Government is under mounting pressure to rethink its $400 million Kew Cottages redevelopment, as the first residents of the scheme call for a halt to the next stage of work.

At a public meeting this week residents from the 50-plus dwellings of the first stage of the project slammed the Government and its partner, the Walker Corporation, over what they said were changes to the designs of their homes after they were purchased off the plan.

The residents have complained about myriad faults in their homes, including missing features such as bluestone and steel. And they are angry at poor environmental standards — notably an absence of a water recycling strategy.

The meeting called on the Government to abandon stage two of the 500-dwelling project until problems were resolved in the first stage....


View Royce Millar's Full Story in the Melbourne Age >>

==

Thursday 4th December 2008

heraldsun.com.au

MPs cue the Ombudsman

St Kilda, Kew deals to be investigated

theage.com.au
Royce Millar writes in the Melbourne Age:

THE redevelopment of Kew Cottages and the troubled revamp of the St Kilda triangle site are to be investigated by the State Ombudsman.

A Legislative Council resolution pressed by the Opposition and the Greens last night sought the investigations following a parliamentary committee's inquiry into the State Government's handling of public land development.

It is the first time the government watchdog has had such a referral from the upper house.

Last night Deputy Ombudsman John Taylor confirmed his office would conduct the investigations... (more)



Wednesday 3rd December 2008
Pressure for Ombudsman to Investigate

Today the Upper House of the State Parliament will debate whether the Victorian Ombudsman should investigate the Brumby Government over its
St Kilda Triangle and Kew Cottages land deals ...

Extract of Notice paper
                                            101

Former Senator Graham Richardson is not expected to attend.

Live audio of the debate will be broadcast on the Parliamentary Website


International Day of
                                              People with Disability
Wednesday, 3rd December is the United Nations
 International Day of People with Disability









Monday 7th July 2008
Lang Walker
"SYDNEY-based property baron Lang Walker
is said to boast he can 'buy and sell' any government in Australia.


 "So it would seem he costed the
Bracks Government at $100,000 in September 2006.
Just over a year before, in June 2005, Walker Corporation was chosen as the preferred developer for the $400 million transformation of Kew Cottages into upmarket housing..."

Political donations linked to developers, contractors


theage.com.au

Writes Royce Millar in The Melbourne Age Investigation

How Labor gets its cash


Royce Millar, The Age
                                Investigations teamRead Royce Millar's full story "With Strings Attached" here


President of the Kew Cottages Coalition, Brian Walsh, said, " The Age investigation now shows that the political donations linked to Graham Richardson and  the Main Drive Kew  development are just the tip of an iceberg ."

Mr. Walsh said, "It looks like the people of Victoria have been set up to be sold down the river in exchange for developer donations.  It's time for Premier Brumby to put a stop to this madness.

"Its time to stop stalling. Brumby must now prove to the Parliament beyond reasonable doubt, that he has got clean hands in this matter, and that neither his party, the Victorian Labor Party,  nor his Government, have been corrupted by the developer donations.

"If he is unable to do that immediately, then
I challenge the Premier to c
all the Sydney developers' bluff and:
  •  Stop the clock on the  Kew Cottages development;
  •  Cancel further stages of the Walker Corporation contract; and
  •  Setup an Anti-corruption Commission in Victoria to investigate all of the donations identified by the Age."



Friday 13th June 2008

Madden can't recall

Madden can't recall signing

From: Herald Sun

PLANNING Minister Justin Madden was forced on to the back foot in Parliament yesterday when he couldn't remember if he'd signed off on stage two of the controversial Kew Cottages redevelopment.

Democratic Labor Party MP Peter Kavanagh refreshed Mr Madden's memory during Upper House Question Time, saying the minister had told Parliament on May 27 he was almost certain he had not given approval.

Mr Madden yesterday responded "I don't pretend to remember all those (documents) that come before me" and said he would take the question on notice.

Click here to read the full article on the Herald Sun website
heraldsun.com.au








 
Background
Environment
Issues


Monday 10th July 2006

Melbourne Channel 10 TV News Reports

"Yarra Bend Park May Now Be Under Threat"
from
Deadly Tree Disease
at
Kew Cottages


View  Windows Media 
wmv video file (1min39s):
mp3 file


(Archive ..)
Bracks Government Cover up on
Biosecurity
Threat to Yarra ?



Tuesday 14th March 2006

Brian Walsh tells the ABC's 774, Jon Faine, he is astounded that the Government now claims it was unaware of the discovery of the fungus at Kew Cottages. Walsh says the Government claim is nonsense, "our information is that they have known for weeks.. " (see below)

Listen to the full Interview mp3 audio (2min 34s): mp3 file


Herald Sun 14.3.2006 p.31








 Feedback: If you see any errors or have any questions or suggestions on what is shown on this website, please let us know  so that we can correct or extend the information provided.
Note:
  1. Every effort is made to ensure the accuracy of the electronic information presented on this site. However, Kew Cottages Coalition accepts no responsibility for any loss occasioned to any person acting or refraining from action as a result of the material presented in this service. 

Home | Challenge for Change| Links | Archive | Site Map
**
Follow kewcottages on Twitter

 © 2006 Kew Cottages Coalition
Reg # A0044698H